Wednesday, 30 December 2015
Saturday, 26 December 2015
Sail Rock, the Gulf of Thailand
Dive site: Sail Rock
Live and Let Dive
Dive One
Dive time: 45 minutes
Depth: 25 metres
Visibility: 3-8 metres
Dive Two
Dive time: 50 minutes
Depth: 19 metres
Visibility: 3-8 metres
Friday, 21 August 2015
Hon Thai Island (North), Cham Islands - Hoi An, Vietnam
Hon Thai Island, Cham Islands - Cu Lao Cham Marine Park
Dive site: North Hon Thai
Dive time: 54 minutes
Depth: 12.5 metres
Temp: 30°C
Visibility: 10-12m
Hon Thai Island (West), Cham Islands - Hoi An, Vietnam
Hon Thai Island, Cham Islands - Cu Lao Cham Marine Park
Dive site: West Hon Thai
Dive time: 61 minutes
Depth: 18.6 metres
Temp: 28°C
Visibility: 10-12m
I was very surprised by the good diving had in Hoi An. After diving many places in Vietnam including Nha Trang, Con Dao and Phu Quoc, I really wasn't expecting much on these particular dives having been told that the best diving is to be found in the south. I took my regs and dive comp just in case I felt like a cheeky dive even though my (non-diving) parents were over from the UK on holiday. In the end we thought a half-day trip out to the Cham Islands would be a fun day out so we joined up with a daily excursion with Blue Coral Diving Hoi An. Forty people including Discover divers and Snorkelers, I expected the diving would be at the simple dive sites that suited all levels and was easily accessible.
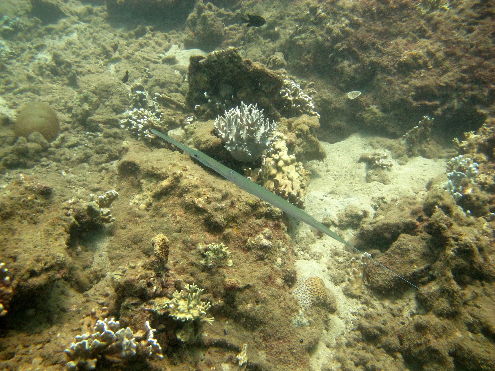
In the end I was pleasantly surprised as we saw enough creatures to keep us entertained. The coral was nice, lots of schooling fish, a variety of coral, shrimps, prawns, nudibranchs, pipefish and starfish. It was a nice leisurely dive with a good variety of sea life.
Subscribe to:
Comments (Atom)
